Обяви За нас Контакти
Продава ПАРЦЕЛ
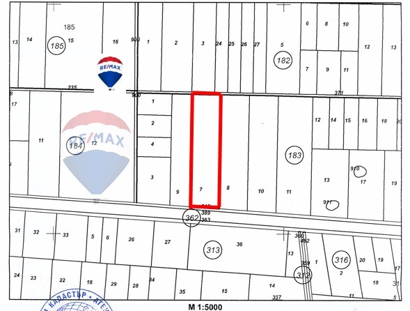
град Пловдив, Пазарджишко шосе
125 976 €
246 387.64 лв.

(8 €, 15.65 лв./m2)
История на цената
Коригирана в 10:41 на 15 декември, 2025 год.
Обявата е посетена 2096 пъти.
Площ:
15747 m2

Описание на имота:


RE/MAX предлага ексклузивно 15 747 кв.м парцел с лице на Пазарджишко шосе. Имотът представлява идеална възможност за изграждане на голяма промишлена база, шоурум, представителство, ТИР паркинг и други подобни! За повече информация: 0888 95 01 81, Георги Димитров.
Особености
За пром.строителство
За контакт:
0888950181
Брокер:
Георги Димитров
0888 950 181
Още оферти от брокера: Продава | Дава под наем | Купува | Наема
Агенция:
РЕМАКС АДВАНТИДЖ
032 265 000, 0887 23 23 24
РЕМАКС АДВАНТИДЖ logo
Медал за прослужено време
В imot.bg от 2007 г.
remax.imot.bg
Адрес:
област Пловдив, гр. Пловдив, бул. Руски 36
http://www.remax.bg
ИЗПРАТИ ЗАПИТВАНЕ
ИЗПРАТИ ЗАПИТВАНЕТО

Продава ПАРЦЕЛ
град Пловдив, Пазарджишко шосе
Обява: 1r169234001166906

125 976 €
246 387.64 лв.
История на цената
(8 €, 15.65 лв./m2)

ЗАПАЗИ ОБЯВАТА

Местоположение: град Пловдив, Пазарджишко шосе

Допълнителни данни за имотите в района и сравнение с други райони

Покажи

Период

и 2 месеца

* Средните цени са определени чрез медианна стойност